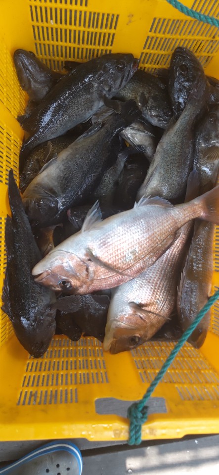
6월 27일 조황입니다.
- 20-06-27
- 5,786 회
- 0 건
안녕하세요^^
낭만과 즐거움이 살아 숨쉬고 있는 당진 도비도항 와따좌대입니다*
오늘도 많은분들 찾아주셔서 좋은 조황 사진을 많이 찍었습니다!
밑걸림이 없는 좌대!!도비도항 와따좌대!! 많이 놀러오세요^^
※저희 와따좌대는
손세정제가 준비가 되어있고
휴게실과 사람손이 많이 닿는 곳 (전자렌지,커피자판기,낚시대,화장실등등) 환경부에서 승인 받은 제품으로 하루에 한 번 이상 소독하고 있습니다.
그리고 테이블도 락스와 물을 잘 희석하여 매일
닦고 있습니다.
코로나19에 대비하여 최선을 다하고 있습니다.※
많이 많이 놀러오세요^^
당진 와따좌대 전기철 010-5550-7693
많이 많이 연락주세요^^




























- 이전글 6월 28일 조황입니다. 20.06.28
- 다음글 6월 26일 조황입니다. 20.06.26